Pest megye, Isaszeg
 

Ingatlan adatai
Irányár: 15 000 000 Ft
Típus: telek
Kategória: eladó
Alapterület: 3 063 m2
Állapota: -
Építés éve: -
Fűtés: -
Felszereltség: -
Szobák száma: -
Szintek száma: -
Telekterület: 3 063 m2
Kert mérete: -
Erkély mérete: -
Parkolás: -
Kilátás: -
Egyéb extrák:  
-
Részletes leírás
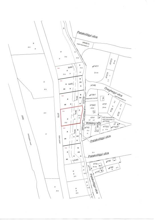
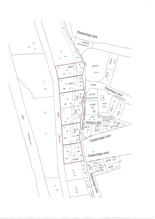
CSAK NÁLUNK!HORGÁSZOK ---BEFEKTETŐK----FIGYELEM!Saját HALAS TAVA lehet, ELÉRHETŐ közelségben és elérhető ÁRON!Ha hobbi teleket szeretne, a Rákos -patak mellett, a VADREGÉNYES terület remek kikapcsolódás. Ha vállalkozásban gondolkodik, --------akár NYÁRI TÁBOROZTATÁS, akár -------VADASPARK, akár --------KALAN PARK,------ stb... számtalan lehetőség várja! Teremtse meg saját birodalmát. A teljes terület nagyság 18.376 m² , amely 6 db önálló helyrajzi számmal ellátott telekre van osztva. Egyben és külön - külön is ELADÓ!Az értékesíteni kívánt terület Isaszeg, Öreghegy városrészének elején, eladó egy 3063 m² alapterületű, Tk, azaz TERMÉSZETKÖZELI TERÜLET, övezeti besorolású telek. A terület 2436 m² rét és 627 m² fásított területet tartalmaz. 6-os művelési osztályba tartozik, aranykorona értéke 3,51. Az utcában víz és villany közművek találhatók. Megközelíteni murvás, kavicsos úton lehet. A környéken, nyaralók, és állandó lakhatású ingatlanok vannak. Ugyan a telekre építeni nem lehet, de egy úszóház akár alternatív megoldás lehet. TERMÉSZETKÖZELI TERÜLET,A Tk jelű természetközeli területen a következő előírásokat kell betartani: - 53/A.§(1) Az övezetbe nádas, lápos, vízjárta területek tartoznak. Az övezetbe épületek nem helyezhetők el. - (2) Az övezet ingatlanai művelési águknak megfelelően fenntartandók. - (3) Az övezetbe sorolt, de kivett művelési ágú földútként és egyúttal közterületként nyilvántartott területekre a HÉSZ KÖu jelű övezetek előírásai vonatkoznak. - (4) Az övezetben minden tevékenység kezelési terv alapján végezhető. KÖZLEKEDÉSI ÉS KÖZMŰ ÖVEZETEKA KÖu jelű közlekedési övezet (közúti közlekedési területek)- 42. § (1) Az övezetbe tartoznak a meglévő és tervezett közutak a hozzájuk tartozó közlekedésüzemi létesítmények területével és tartozékaival együtt.- (2) A közlekedési létesítmények szabályozási szélességét a HÉSZ 7. § (4) bekezdésével összhangban SZT szerint kell kialakítani.- (3) Övezeti paraméterek:- Beépítési mód: szabadon álló.- Beépítettség terepszint felett 5%.- Építmény magasság 5 m. - (4) Az övezetben 500 m2-nél nagyobb bruttó alapterületű építmény csak jóváhagyott SZT alapján helyezhető el.- (5) A közutak építési (szabályozási) szélességén belül a közlekedési létesítmények, a közművek létesítményei és berendezései, környezetvédelmi létesítmények, utca bútorok helyezhetők el, illetve utca fásítás (növényzet) telepíthető.- (6) Az övezetben a melléképítmények közül közmű-becsatlakozási műtárgy, közműpótló műtárgy, hulladéktartály-tároló (legfeljebb 2,0 m-es belmagassággal), kirakatszekrény (legfeljebb 0,40 m-es mélységgel), kerti építmény (hinta, csúszda, homokozó, szökőkút, pihenés és játék céljára szolgáló műtárgy, a terepszintnél 1 m-nél nem magasabbra emelkedő lefedés nélküli terasz), kerti szabadlépcső (tereplépcső) és lejtő, szabadon álló és legfeljebb 6,0 m magas szélkerék, antenna oszlop, zászlótartó oszlop helyezhetők el.AZ ÖVEZETI BESOROLÁSA miatt, a törvény által előírt, KIFÜGGESZTÉSI KÖTELEZETTSÉG mellett lehet megvásárolni!Ha valaki csak a telek felét, azaz 50%-át szeretné megvásárolni, ÜGYVÉDI HASZNÁLATI megosztással lehetséges. Az ár abban az esetben 50% +20% felár = 9.000.000 Ft Eladó továbbá, a 34, 33, 31, 30, és 29 számú telkek is. Egyben 90.000.000 Ft ----------Az ingatlan PER -TEHER – és IGÉNY mentes!----------Ha a hirdetésem felkeltette az érdeklődését, várom a HÍVÁSÁT. A GDN HitelCentrum, KÖTELEZETTSÉG MENTESEN és DÍJMENTESEN, versenyezteti Önért a bankok hitelajánlatait. Ismerje meg a vissza nem térítendő állami támogatásokat!• babaváró,• CSOK+• hitel,• megtakarítás,• és EGYÉB BANKI tranzakcióban segítségére lehetünk!• Igény esetén, ÜGYVÉDI segítséget nyújtunk, MEGFIZETHETŐ áron!Ha az ingatlannal kapcsolatban bővebb felvilágosításra lenne szüksége, hívjon bizalommal, állok rendelkezésére!F.M.
Hirdető adatai
Hirdető neve: GDN Ingatlanhálózat
Kapcsolattartó: Fenyvesi Marianna
Hirdető telefonszáma: +36-20-981-3790
Honlap: -