Fejér megye, Felcsút
 

Ingatlan adatai
Irányár: 13 500 000 Ft
Típus: telek
Kategória: eladó
Alapterület: 979 m2
Állapota: -
Építés éve: -
Fűtés: -
Felszereltség: -
Szobák száma: -
Szintek száma: -
Telekterület: 979 m2
Kert mérete: -
Erkély mérete: -
Parkolás: -
Kilátás: -
Egyéb extrák:  
-
Részletes leírás
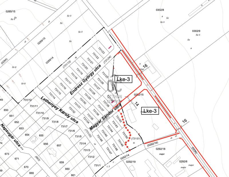
Felcsút egyik nyugodt, rendezett kertvárosias részén kínálunk megvételre egy 979 m² nagyságú belterületi építési telket, amely ideális választás mind családi ház építéséhez, mind értékálló befektetéshez.A telek a helyi építési szabályzat szerint kertvárosias lakóövezetben (Lke-3) helyezkedik el. Az övezet kifejezetten szabadon álló beépítésre alkalmas, így a jövőbeni épület körül tágas kert, privát élettér alakítható ki.A telek főbb jellemzői: -Telekterület: 979 m² -Övezeti besorolás: Lke-3 – kertvárosias lakóövezet - Zöld, családias környezet - Lakóépület elhelyezésére alkalmas (a HÉSZ előírásainak megfelelően) - Jó megközelíthetőség, rendezett környezetA kertvárosias övezet lehetőséget biztosít legfeljebb kétlakásos lakóépület, valamint a lakófunkciót kiszolgáló kiegészítő építmények (garázs, tároló) elhelyezésére. Az alacsony építménymagasság és a magas zöldfelületi arány garantálja a világos, élhető és értékálló lakókörnyezetet.Felcsút kiváló infrastruktúrával, folyamatosan fejlődő környezettel rendelkezik, így a telek hosszú távon is jó befektetés, akár saját otthon építésében, akár értéknövelő fejlesztésben gondolkodik.
Hirdető adatai
Hirdető neve: Otthon Centrum
Kapcsolattartó: Szűcs Sándor Mátyás
Hirdető telefonszáma: +36 70 388 5321
Honlap: -